Skip To Content

00 Halperin Court

Waterbury, CT 06704
  • $600,000
  • STATUS: Active
  • ON SITE: 690 Days
  • MLS #: 24005519
UPDATED: 5 min ago
$600,000
  • 0
    BEDS
  • 4.16
    ACRES
  • 0
    BATHS
  • 0
    1/2 BATHS
Neighborhood:
Type:
Vacant Land / Lots
County:
Area:

School Information

Elementary School:
Middle School:
High School:

Description

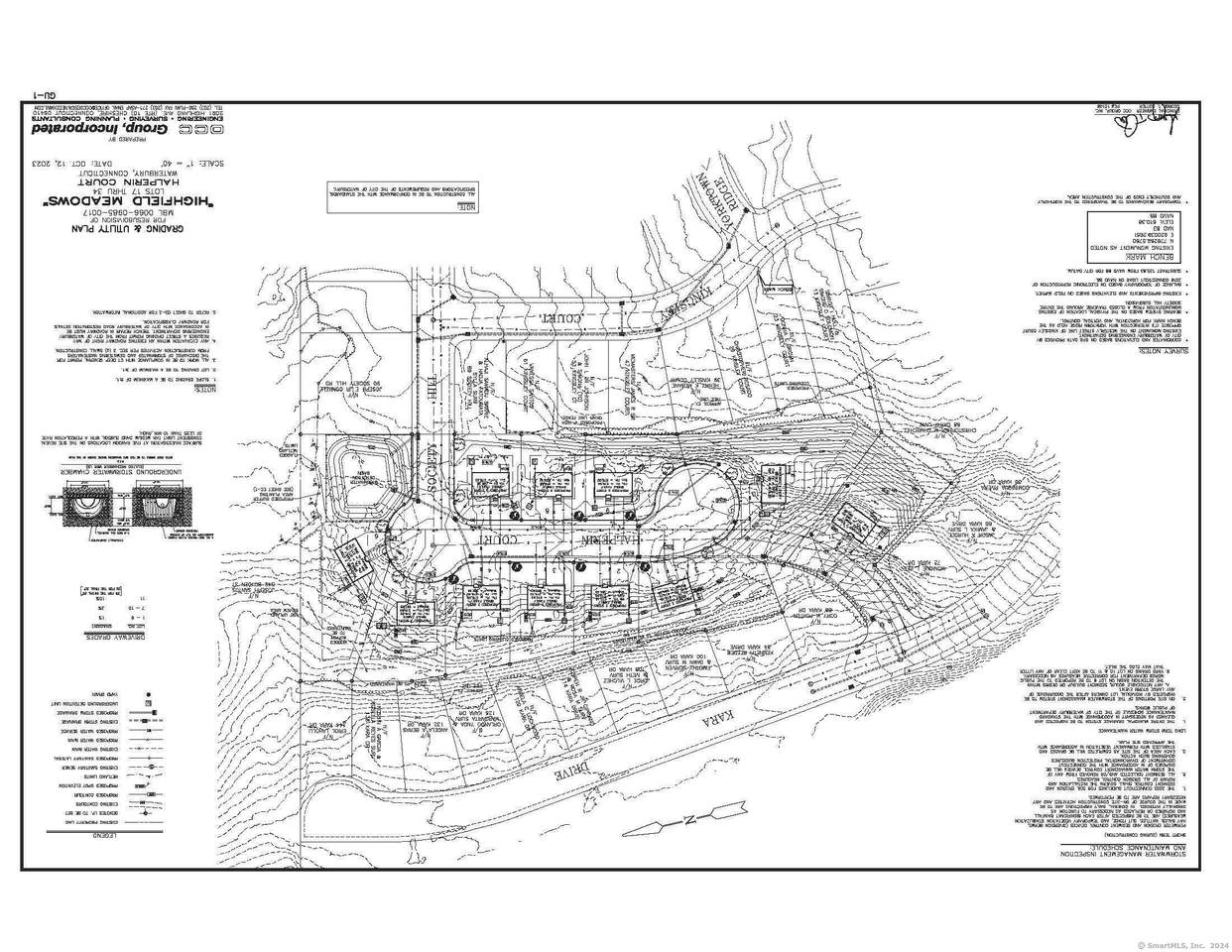
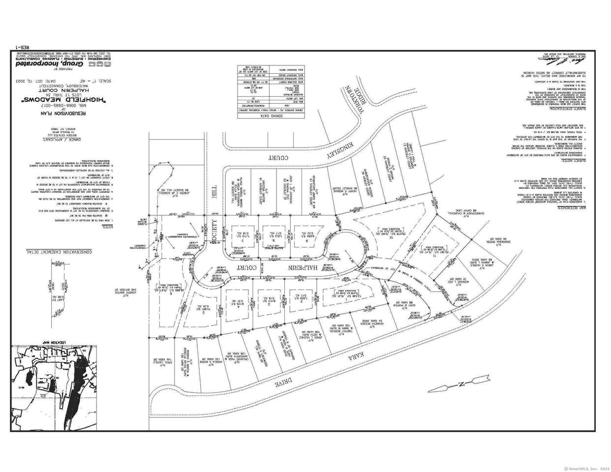
Shovel Ready: CONDITIONALLY APPROVED RESIDENTIAL SUBDIVISION & Earth Excavation Permit | 4.16 Acres yield 11 Residential Home Sites on Cul De Sac | Sewer Main & Storm Water Main installed in Halperin Court | Limited Market Inventory of Subdivision Lots | Steady absorption of New Single Family in Market | Subdivision Plans, Construction Plans and Approvals available in office.

Monthly Payment Calculator



The data relating to real estate for sale on this website appears in part through the SMARTMLS Internet Data Exchange program, a voluntary cooperative exchange of property listing data between licensed real estate brokerage firms, and is provided by SMARTMLS through a licensing agreement. Listing information is from various brokers who participate in the SMARTMLS IDX program and not all listings may be visible on the site. The property information being provided on or through the website is for the personal, non-commercial use of consumers and such information may not be used for any purpose other than to identify prospective properties consumers may be interested in purchasing. Some properties which appear for sale on the website may no longer be available because they are for instance, under contract, sold or are no longer being offered for sale. Property information displayed is deemed reliable but is not guaranteed. Copyright 2026 SmartMLS, Inc. Data last updated: 2026-02-11T20:10:00.3.
www.thecthomefinder.com/homes/148836222
Print Image

00 Halperin Court Waterbury, CT 06704

  • Price: $600,000
  • Status: Active
  • On Site: 690 Days
  • Updated: 5 min ago
  • MLS #: 24005519
0
Beds
0
Baths
0
½ Baths
4.16
Acres
Neighborhood:
Bucks Hill
County:
New Haven
Area:
Waterbury
Elementary School:
per board of ed
Middle School:
North End
High School:
Wilby
Property Description
Shovel Ready: CONDITIONALLY APPROVED RESIDENTIAL SUBDIVISION & Earth Excavation Permit | 4.16 Acres yield 11 Residential Home Sites on Cul De Sac | Sewer Main & Storm Water Main installed in Halperin Court | Limited Market Inventory of Subdivision Lots | Steady absorption of New Single Family in Market | Subdivision Plans, Construction Plans and Approvals available in office.
Exterior Features

Direct Waterfront YN No Lot Description City ViewsLightly WoodedSloping Lot Lot Improvements Approved SubdivisionStorm Drain(s) Nearby Amenities Health ClubLakeMedical FacilitiesParkPlayground/Tot LotPublic Rec FacilitiesPublic Transportation Road Frontage Approximate 75 Road Frontage Description Municipal Street Waterfront Description Not Applicable

Interior Features

Sq Ft Total 0

Property Features

Agent Owner YN No Bank Owned Property No Flood Zone YN No Home Owners Assocation No Intermediate School Per Board of Ed Location Suburban Potential Short Sale No Property Sub Type Residential Land Sewage System Public Sewer In Street Subdividable YN Yes Tax Year July 2025-June 2026 Under Agreement Yn No Utilities Available Cable AvailableElectric AvailablePhone AvailableUnderground Required Water Source Public Water In Street Zoning RS

Listing information © 2026 Smart MLS
Listing provided courtesy of Robert Ghent of Ghent Realty Advisors: (203) 597-1077.


The data relating to real estate for sale on this website appears in part through the SMARTMLS Internet Data Exchange program, a voluntary cooperative exchange of property listing data between licensed real estate brokerage firms, and is provided by SMARTMLS through a licensing agreement. Listing information is from various brokers who participate in the SMARTMLS IDX program and not all listings may be visible on the site. The property information being provided on or through the website is for the personal, non-commercial use of consumers and such information may not be used for any purpose other than to identify prospective properties consumers may be interested in purchasing. Some properties which appear for sale on the website may no longer be available because they are for instance, under contract, sold or are no longer being offered for sale. Property information displayed is deemed reliable but is not guaranteed. Copyright 2026 SmartMLS, Inc. Data last updated: 2026-02-11T20:10:00.3.
 
https://bt-photos.global.ssl.fastly.net/ctmls/1280_boomver_2_24005519-1.jpg https://bt-photos.global.ssl.fastly.net/ctmls/1280_boomver_2_24005519-1.jpg https://bt-photos.global.ssl.fastly.net/ctmls/1280_boomver_2_24005519-1.jpg
Logo
The Higgins Group - The CT Home Finder
1499 Post Road
Fairfield CT, 06880